おすすめ物件
土地 売買
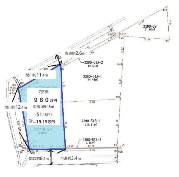
吉野町 土地
所在地鹿児島市吉野町2390-51
970万円
おすすめポイント!
- 建築条件なし!
- 南面角地、50坪以上
- 吉野中交差点まで約250m
物件詳細情報
- 所在地
- 鹿児島市吉野町2390-51
- 土地面積
- 169.15㎡/51.16坪
- 地目
- 宅地
- セットバック
- 要
- 接道
- 南 3.5m 公道 接面8.2m ・ 南西 3.2m 公道 接面14.8m ・ 北西 2.6m 公道 接面11.4m ・ 三方道路
- 交通
- 南国交通 吉野中学校前バス停 徒歩3分
- 用途地域
- 第1種低層住居専用
- 建ぺい率
- 50%
- 容積率
- 80%
- 取引形態
- 仲介







